The Historic District Review Board will meet on April 2nd to discuss proposed updates to the Cape Charles Brewery property. This meeting is virtual.
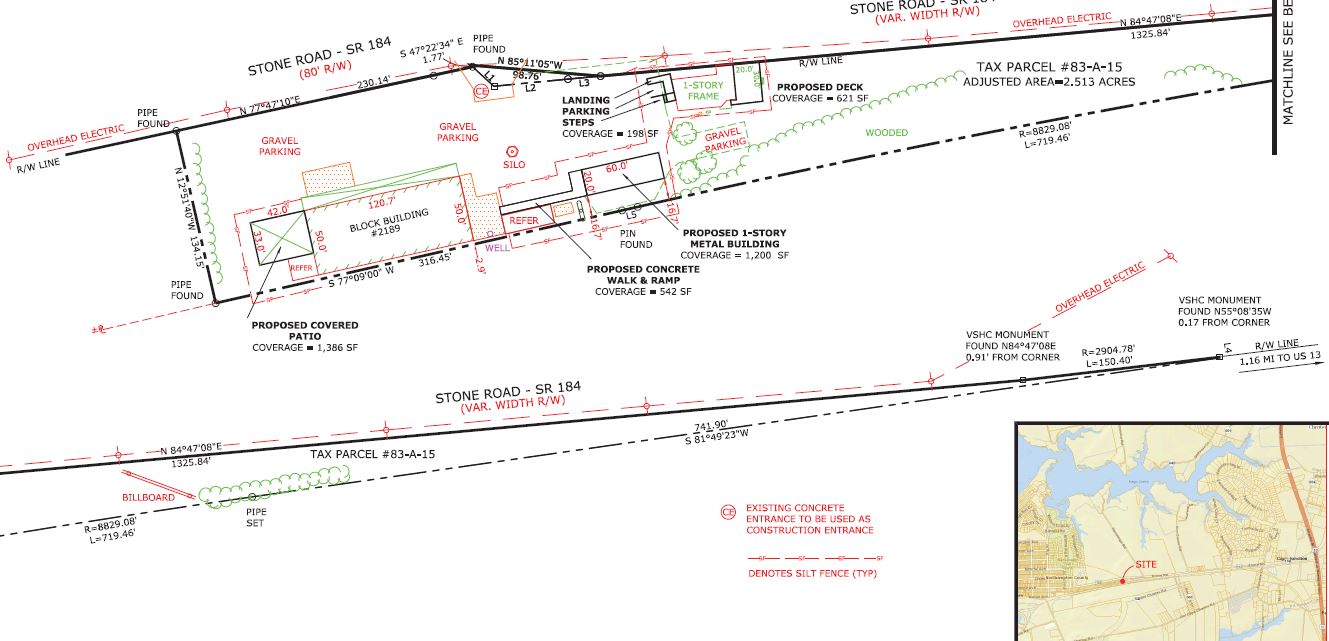
The CC Brewery is asking to add a metal storage building, a deck on the existing blue storage building, and a permanent covered patio on the west side of the business.

The new steel building will be 20 x 60, 1200 square feet.
The new, covered patio with be on the west side, near the smoking pit and games.

Attaching the deck to the existing storage building will add an addition 610 sq feet.



Scotiagirl says Bring it On!!